貸し倉庫検索サイト

LOGI PICK by 株式会社ASSORT

(仮称)京都亀岡流通センター

物件番号:1965

物件情報

所在地
京都府亀岡市篠町王子市原31
アクセス
■京都縦貫自動車道「篠IC」約2.8㎞ ■山陰本線「馬堀」徒歩41分
賃料(月額)
6,600,000円
契約形態
定期借家
敷金/保証金
要お問い合わせ
使用開始日
相談 ※契約締結後2ヶ月後目安
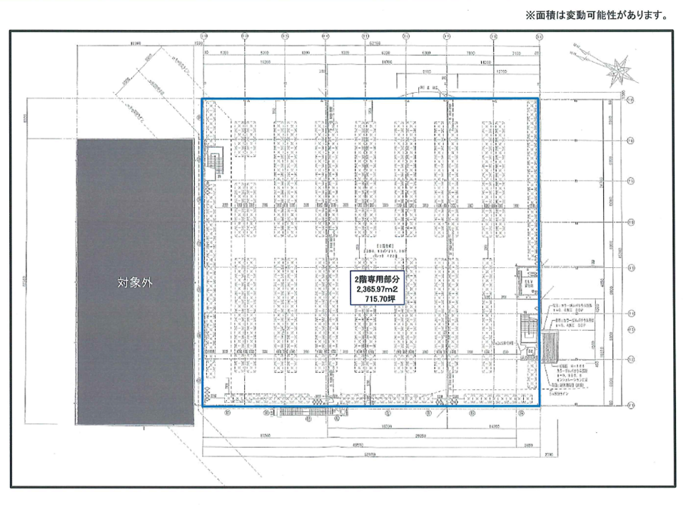
契約面積
1,248坪
敷地面積
2,459坪
床式
高床式
天井高
4.0~5.99m
竣工
2016年
構造
鉄骨造
用途地域
市街化調整区域
階層
2階
設備
■天井高 :1階 4.0m 2階 4.63m~5.99m  ■床形式 :高床式 ■床荷重 :調査中 ■昇降機 :荷物用エレベーター(2t)1基

お電話でのお問い合わせも可能です。

お電話の際は、ページ上部にある記載の物件番号をお伝えいただくとスムーズです。

LOGI PICK LOGO
copyright © 2023 LOGI PICK All Right Reserved.